一、“一校一策”交通治理高新一實驗位于光谷大街與飛躍路東南側,學校毗鄰歐亞賣場、歐亞匯集等商圈,過境交通與通學高峰疊加。存在飛躍路慢行道寬度不足、接送學生車輛違停、學生橫穿馬路等問題,學校周邊交通擁堵嚴峻。市交研中心在鞏固2022年“一校一策”治理成效基礎上,針對學校周邊行人過街、動態行車特點,制定..." >
高新南區聚集高新一實驗、歐亞賣場等重要交通出行吸引點,是連接朝陽區、汽開區的重要區域,早晚高峰車輛潮汐特征明顯,前進大街與修正路、硅谷大街與飛躍路等局部節點交通擁堵嚴重,有待進一步優化治理。
一、“一校一策”交通治理
高新一實驗位于光谷大街與飛躍路東南側,學校毗鄰歐亞賣場、歐亞匯集等商圈,過境交通與通學高峰疊加。存在飛躍路慢行道寬度不足、接送學生車輛違停、學生橫穿馬路等問題,學校周邊交通擁堵嚴峻。市交研中心在鞏固2022年“一校一策”治理成效基礎上,針對學校周邊行人過街、動態行車特點,制定了完善慢行系統、設置護學通道、遷移公交站點、改造光谷大街與飛躍路節點等措施,有效改善了學校周邊交通運行秩序,緩解交通壓力。
治理前學校門前慢行道寬度窄
治理前學校門前家長等候空間不足
治理后學校門前設置家長等待區
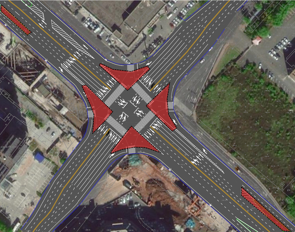
二、交通擁堵節點治理
1.結合三網融合試點推進交通精細化治理。統籌考慮高新一實驗治理,結合地鐵6號線光谷大街站點路面恢復契機,按照長春市交管辦統籌開展三網融合建設工作,市交研中心對光谷大街與飛躍路交叉口進行系統治理。制定了取消交叉口渠化島、增加行車道、改造港灣公交站點、設置停車落客區等系列措施,有效提升交叉口通行能力,緩解節點交通擁堵現象。
光谷大街與飛躍路交叉口治理前
光谷大街與飛躍路交叉口治理措施
2.治理硅谷大街與飛躍路交通擁堵節點。硅谷大街與飛躍路北向左駛入硅谷大街需求大,交叉口信號配時方案有待優化。市交研中心結合交叉口早晚高峰運行特點,制定了渠化地面標線、增加左轉車道、優化信號配時等系列措施。措施落實后,高峰期硅谷大街東西向車輛排隊長度由150米縮減至50米,交叉口通行效率提升5%。
硅谷大街與飛躍路交叉口車輛排隊長
制定硅谷大街與飛躍路交叉口系列治理措施
3.治理前進大街與修正路交通擁堵節點。前進大街與修正路交叉口是影響西部快速路通行的關鍵節點,北向南方向由7車道驟減為3車道,存在交通瓶頸現象。市交研中心制定了壓縮車道寬度、渠化地面標線、清除不合理路內泊位等措施,在不影響慢行系統的前提下,將南向北3車道拓寬為5車道,增加進口道通行能力。同步在出口道增加車道數,提升出口道接納能力。措施落實后,系統提升了交叉口通行效率。
治理前交叉口通行能力低
治理后南進口通行能力增加
交研中心將持續監測高新南區交通運行情況,結合區域交通運行特點,動態優化治理措施,確保治理成果不反彈。